390.000 €
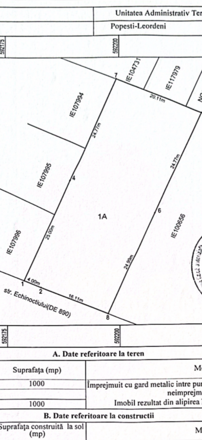
Popesti Leordeni, zona Drumul Fermei
- Suprafata 1.000 mp
- Intravilan
- Deschidere 20 ml
Calculeaza distanta
Descriere anunt
Popesti Leordeni, zona Drumul Fermei.
Vand teren cu toate utilitatile pe Str. Echinoctiului nr. 9, suprafata 1000 mp, deschidere - 20 m, P+3+4retras, Pot 50%, Cut 1,5, cadastru si intabulare, pret neg.
Caracteristici, dotari
Detalii suplimentare
Acces drum asfaltat
Alimentare apa
Cadastru
Canalizare
Certificat urbanism
Curent electric
Cut
Gaze
Ingradit
Intabulare
Liber
Pot
Puz
Stradal


Vezi galeria