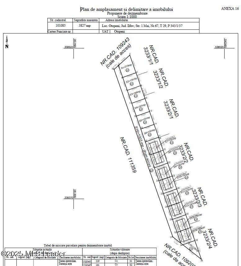
Otopeni, teren intravilan de vanzare, 553 mp, autorizatie valabila
- Suprafata 553 mp
- Intravilan
- Deschidere 21 ml
Calculeaza distanta
Descriere anunt
Investeste inteligent in Otopeni! Iti prezint spre vanzare un teren intravilan, ideal pentru un proiect imobiliar profitabil sau pentru a-ti construi casa visurilor.Situat pe strada 1 Mai, intr-o zona rezidentiala linistita, terenul ofera intimitate si acces facil din doua strazi.Beneficiezi de toate utilitatile la poarta, apa, gaz, electricitate si canalizare, si de documentatie completa. Acest teren iti ofera flexibilitatea de a construi fie doua case cuplate, pentru care exista autorizatie de construire valabila, fie o resedinta spatioasa.Nu rata aceasta sansa! Contacteaza-ma acum pentru a transforma acest teren in proiectul tau de succes.***Pretul include TVA.
Reper: Otopeni - Odai


Vezi galeria