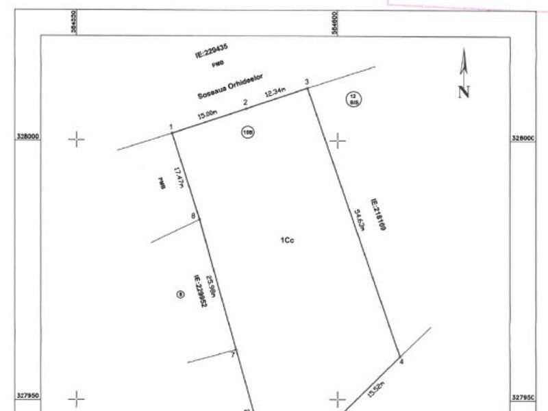
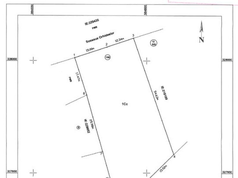
Grozavesti Vanzare teren intravilan Sos. Orhideelor
- Suprafata 1.800 mp
- Intravilan
- Deschidere 27 ml
Grozăvești ...
6 min.
Calculeaza distanta
Descriere anunt
Ned Com Imobiliare va propune spre vanzare un teren cu un potential excelent, situat in apropiere de statia de metrou Grozavesti, pe sos. Orhideelor, chiar langa hotelul Sir - o zona cu o ascensiune imobiliara fantastica in ultimii ani.
Terenul are suprafata de 1788mp, deschidere de aproximativ 27,5 ml catre Sos. Orhideelor.
Destinatia: conform P.U.Z. Coordonator Sector 6, imobilul este situat in zona CB3 - subzona polilor urbani principali.
P.O.T. maxim = 70%, cu posibilitatea acoperirii restului terenului in proportie de 80% cu cladiri cu maxim 2 niveluri .Nu se limiteaza inaltimea cladirilor.
Pretul este negociabil.
Toate utilitatile.
Acces mijloace transport
| Statii metrou | Timp | |
|---|---|---|
![]() |
Grozăvești | 6 min. |
![]() |
Metrou Basarab (M4) | 18 min. |
![]() |
Cale acces C Politehnica (M3) | 18 min. |
| Statii STB | Timp |
|---|---|
|
Bd. Regiei
105
|
5 min. |
|
Șos. Orhideelor
105
|
6 min. |
|
Grozăvești
|
6 min. |
|
Pod Grozăvești
1
10
11
,35
|
6 min. |
|
Calea Giulești
105
,133
,162
,163
,178
|
6 min. |
|
Podul Grozăvești
105
|
6 min. |
|
Complex Grozăvești
|
7 min. |
|
Calea Plevnei
|
7 min. |
|
Complex Regie
|
8 min. |
|
Universitatea Politehnică
178
|
8 min. |
|
Economu Anastasie Stoicescu
178
|
9 min. |
|
Spitalul Panait Sârbu
|
9 min. |
|
Spitalul Dr. Panait Sârbu
|
9 min. |
|
Pasaj Grant
|
10 min. |
|
Căminul U4
|
10 min. |
|
Cămin U4
|
12 min. |


Vezi galeria
105
10
