259.000 €
Chitila, Pod Constanta
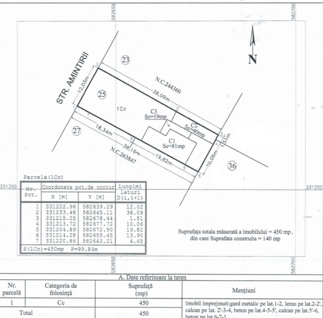
- Suprafata 450 mp
- Intravilan
- Deschidere 12 ml
Jiului ieșirea A ...
10 min.
Calculeaza distanta
Descriere anunt
Chitila, Pod Constanta
K Imobiliare propune spre vanzare in zona Pod Constanta teren intravilan suprafata 450 mp deschidere 12 ml, toate utilitatile pe teren.
Caracteristici, dotari
Detalii suplimentare
Alimentare apa
Cadastru
Canalizare
constructie teren
Curent electric
Gaze
Ingradit
Intabulare
Liber
Stradal
Acces mijloace transport
| Statii metrou | Timp | |
|---|---|---|
![]() |
Jiului ieșirea A | 10 min. |
![]() |
Parc Bazilescu | 14 min. |
| Statii STB | Timp |
|---|---|
|
Minerva
422
,697
|
4 min. |
|
Crinului
422
,697
|
4 min. |
|
Marmurei
|
8 min. |


Vezi galeria
422
,697