81.000 €
Cernica, Tanganu
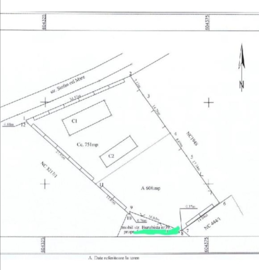
- Suprafata utila 135 mp
- Teren 1.351 mp
- An 1973
- 6 camere
- Demolabila
Calculeaza distanta
Descriere anunt
Cernica, Tanganu,
Investeste pe termen lung si construieste un viitor pentru tine si familia ta. Vand casa veche la curte doua corpuri comuna Cernica, sat Tanganu, pozitionare foarte buna, curent electric, imprejmuita cu gard beton, suprafata 1351mp, utilitati , apa, gaze, canalizare la poarta, deschidere 35 m. Din autostrada soarelui la 5 minute, 10 minute de Auchan Pallady, Metro, 5 min Fashion House Outlet Centre Pallady, Manastirea Cernica, gradinita, scoala in apropiere, dispensar, farmacie, statie de autobuz in apropiere, etc.
Obiective interes
| 1. | Gradinita nr. 1 Cernica | 0213695077 | Str. Closca, nr. 4, Cernica, judetul Ilfov |
| vezi mai multe | |||


Vezi galeria