225.000 €
Breaza
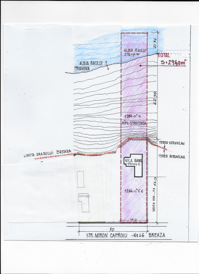
- Teren 2.924 mp
- An 1944
Prahova,
13 mai, 09:48
344 vizite
Descriere anunt
Breaza,
zona centrala, pozitie, vedere mareata, 340 mpc, 270 mpu, arhitectura valoroasa, de renovat, curte 1.265 mp. Proprietar,


Vezi galeria